Zahlavi

Vánoční kapr do tůně nepatří

15. 12. 2025

V nově založených tůních se ryby objevují překvapivě brzy a mění jejich ekologické fungování. Během několika let je jimi osídleno více než 58 % těchto vodních ploch určených k podpoře biodiverzity. Dokládá to studie Ústavu biologie obratlovců Akademie věd ČR a Masarykovy univerzity publikovaná v časopise Scientific Reports. Výzkum odhaluje nejen rychlost kolonizace, ale také fakt, že za ní často stojí člověk. Zjištění zároveň upozorňují, že nechtěné vysazování ryb může ohrozit smysl budování nových mokřadů.

Výzkum se uskutečnil na 123 tůních nově vzniklých v zemědělské krajině jižní Moravy. Vědci zkoumali, jaké druhy ryb se do tůní dostávají a jaké faktory jejich osídlení ovlivňují. Zjistili, že se zde často vyskytují nepůvodní nebo invazní druhy, například střevlička východní (Pseudorasbora parva) či karas stříbřitý (Carassius gibelio).

Ačkoli je budování tůní jako náhradních mokřadů v posledních dvaceti letech běžným opatřením, dosud chyběla systematická data o tom, jak rychle a proč se v nich ryby objevují. „Ryby jsme zaznamenali už ve 40 % tůní starých pouhý jeden rok. To znamená, že kolonizace probíhá rychle a často není výsledkem přirozeného šíření, ale aktivit člověka,“ říká hlavní autor studie Michal Janáč z Ústavu biologie obratlovců AV ČR (ÚBO AV ČR). Pravděpodobnost výskytu ryb podle něj roste s plochou a hloubkou tůně, naopak klesá se šířkou břehové vegetace a vzdáleností od nejbližší obce — což naznačuje významný vliv úmyslného vysazování.

Vysazování v dobré víře s vážnými následky

Rozhovory s místními obyvateli autorům potvrdily, že za výskytem ryb často stojí někdo z okolí. „Lidé mnohdy netušili, že by ryby do tůní vysazovat neměli a jaký dopad to může mít. Snahou bylo nové tůně ‚oživit‘, ve skutečnosti je tím ale zničili. Návrat do původního stavu je pak velmi obtížný a obvykle vyžaduje dočasné vyčerpání tůně, což je reálné jen u menších vodních ploch,“ vysvětluje Michal Janáč.

Studie potvrzuje, že přítomnost ryb zásadně mění klíčové vlastnosti tůní. V tůních osídlených rybami byla nižší průhlednost vody a méně ponořené vegetace, což negativně ovlivňuje obojživelníky, bezobratlé i další vodní organismy.

Jak chránit nové mokřady

Tůně se budují především proto, aby podporovaly druhy, které rybám konkurovat nemohou. Pokud se v nich ryby – často nepůvodní – objeví, ztrácí tato opatření svůj účel,“ vysvětluje Jan Sychra z Ústavu botaniky a zoologie Přírodovědecké fakulty Masarykovy univerzity. Výzkum zároveň naznačuje, že původní druhy ryb mohou mít na fungování tůně méně negativní dopad. Tým nyní zkoumá, zda jejich cílené vysazení může zabránit kolonizaci nepůvodními rybami a zachovat ekologickou funkci těchto vodních biotopů.

Autoři upozorňují, že bez účinné kontroly nelegálního vysazování ryb mohou nové tůně místo podpory biodiverzity přispívat k šíření invazních druhů. Studie proto doporučuje posílit dohled nad vodními plochami a pracovat s veřejností, která v dobré víře může ryby do tůní zanášet.

„Věříme, že naše výsledky přispějí ke změně pohledu na budování tůní jako nejvhodnějšího a univerzálního prostředku obnovy mokřadů. V zemědělské krajině jižní Moravy je podle nás třeba uvažovat i o dalších možnostech,“ uzavírá Michal Janáč z ÚBO AV ČR.

Odkaz na publikaci:        https://www.nature.com/articles/s41598-025-27349-3

Kontakt:         

Mgr. Michal Janáč, Ph.D.
Ústav biologie obratlovců AV ČR
janac@ivb.cz

Mgr. Jan Sychra, Ph.D.
Ústav botaniky a zoologie Přírodovědecké fakulty Masarykovy univerzity
sychra@sci.muni.cz

TZ ke stažení zde.

Pohled pod hladinu čerstvě vybudované tůně bez rybí obsádky (A) a tůně, která je už několik let osídlena invazní střevličkou východní (B).

Pohled pod hladinu čerstvě vybudované tůně bez rybí obsádky (A) a tůně, která je už několik let osídlena invazní střevličkou východní (B).

Michal Janáč, ÚBO AV ČR
Znázornění problematiky degradace tůní zavlékáním ryb. Tůně, které jsou blíže lidských obydlí, jsou hlubší a nemají vegetaci, jsou častěji osídlovány rybami než menší tůně s vegetaci, které jsou zároveň dále od lidských obydlí.

Znázornění problematiky degradace tůní zavlékáním ryb. Tůně, které jsou blíže lidských obydlí, jsou hlubší a nemají vegetaci, jsou častěji osídlovány rybami než menší tůně s vegetaci, které jsou zároveň dále od lidských obydlí.

vytvořeno pomocí AI
Karas stříbřitý (Carassius gibelio) je jedním z nejproblematičtějších invazních druhů našich vod. Rychle se množí, vytlačuje původní ryby a zásadně mění fungování malých vodních ekosystémů — zakaluje vodu, omezuje růst rostlin a zhoršuje podmínky pro obojživelníky i bezobratlé. V nových tůních je vážnou hrozbou pro jejich ochranářský význam.

Karas stříbřitý (Carassius gibelio) je jedním z nejproblematičtějších invazních druhů našich vod. Rychle se množí, vytlačuje původní ryby a zásadně mění fungování malých vodních ekosystémů — zakaluje vodu, omezuje růst rostlin a zhoršuje podmínky pro obojživelníky i bezobratlé. V nových tůních je vážnou hrozbou pro jejich ochranářský význam.

Michal Janáč, ÚBO AV ČR
Střevlička východní (Pseudorasbora parva) patří k nejinvaznějším rybám v Evropě. Snadno se šíří, rychle vytváří početné populace a konkuruje původním druhům potravně i prostorově. Navíc může přenášet patogeny nebezpečné pro jiné ryby. V nových tůních dokáže během krátké doby výrazně narušit ekologickou rovnováhu.

Střevlička východní (Pseudorasbora parva) patří k nejinvaznějším rybám v Evropě. Snadno se šíří, rychle vytváří početné populace a konkuruje původním druhům potravně i prostorově. Navíc může přenášet patogeny nebezpečné pro jiné ryby. V nových tůních dokáže během krátké doby výrazně narušit ekologickou rovnováhu.

FOTO: Michal Janáč, ÚBO AV ČR
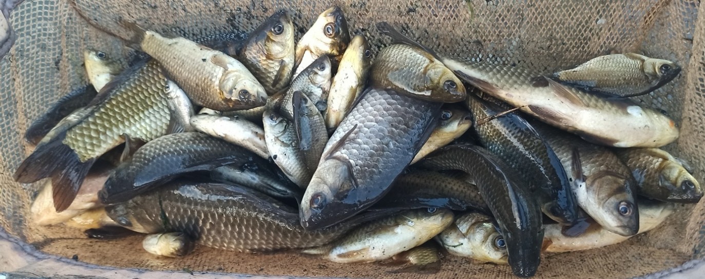
Odchyt ryb v tůních se děje kombinací několika metod. Nejčastěji vědci používají sítě, podběráky a různé typy pastí, zejména vrše, které se rozmístí po obvodu i ve středu tůně. Pastí bývá několik na jednu lokalitu a nechávají se nastražené několik hodin. U mělkých tůní se odchyt doplňuje i aktivním lovem zátahovou sítí. Každý odchycený jedinec je určen do druhu, změřen a následně vrácen zpět do tůně.

Odchyt ryb v tůních se děje kombinací několika metod. Nejčastěji vědci používají sítě, podběráky a různé typy pastí, zejména vrše, které se rozmístí po obvodu i ve středu tůně. Pastí bývá několik na jednu lokalitu a nechávají se nastražené několik hodin. U mělkých tůní se odchyt doplňuje i aktivním lovem zátahovou sítí. Každý odchycený jedinec je určen do druhu, změřen a následně vrácen zpět do tůně.

Michal Janáč, ÚBO AV ČR

Přečtěte si také

Newsletter A / Z Akademie

Přihlásit se k odběru aktualit

Kalendář akcí

Kontakt:


Luděk Svoboda

vedoucí Oddělení interní komunikace

e-mail: svobodaludek@ssc.cas.cz
mobil: +420 733 690 417